0-4496 Dominion Road Fort Erie, Ontario L2A 1H3
$1,500,000
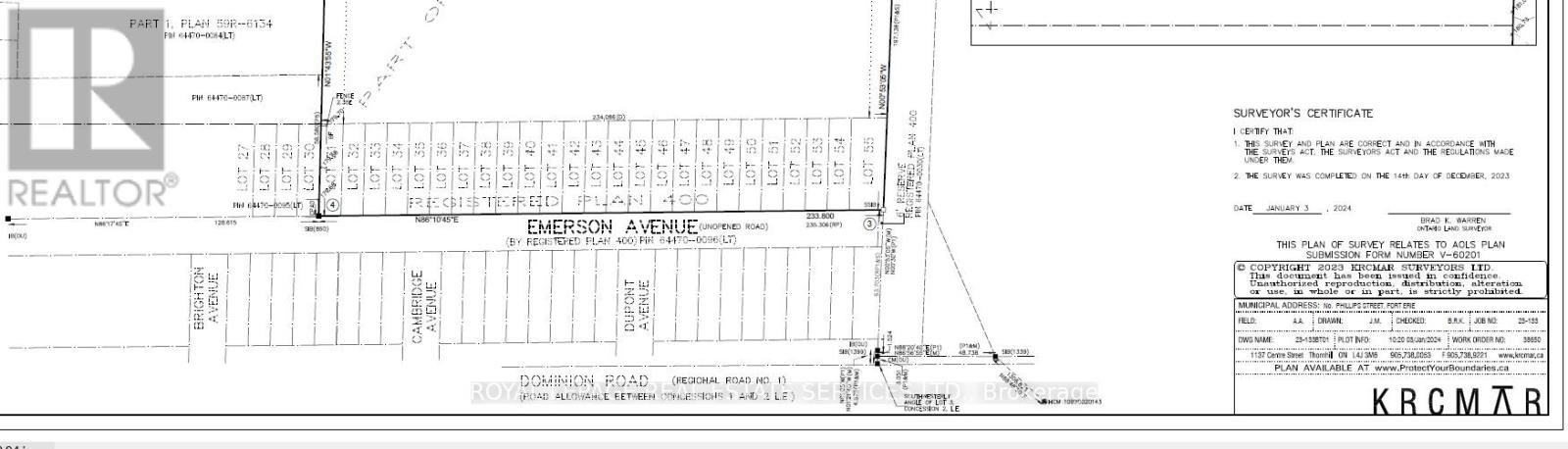
Two Parcel of Vacant Land, Walking Distance to the Crescent Beach, Conceptual plan showing 24 single lots(previously registred) on Emerson & Townhouses on the Dominion Road site, Buyer to do their own due diligence, the lots on Emerson are on the survey and legal description, the area is walking distance to the beach, services are available nearby to be extended to the property, Property is 6km from the Peace Bridge and entry into the United States,and only 4km from Queen Elizabeth Way. The surrounding community is primarily residential, with neighbourhoodbusinesses and some institutional uses (schools, sports centres). The site has high visibility from Dominion Road, waterfront areas. 5-minute drive from Walmart, Starbucks, Sobeys, LCBO. Fort Erie is projecting growth to 48,050 residents and 18,430 jobs by theyear 2051, needing to accommodate 15,230 new residents. (id:55460)
Business
| Business Type | Residential |
| Business Sub Type | Residential |
Property Details
| MLS® Number | X12912650 |
| Property Type | Vacant Land |
| Community Name | 334 - Crescent Park |
Building
| Size Interior | 3 Acres |
| Utility Water | Municipal Water |
Land
| Acreage | Yes |
| Size Depth | 125 Ft |
| Size Frontage | 769 Ft |
| Size Irregular | 3.3 |
| Size Total | 3.3 Ac |
| Size Total Text | 3.3 Ac |
| Zoning Description | R2 & Ep |
4025 Yonge Street #135
Toronto, Ontario M2P 2E3
(416) 907-8226
(416) 907-8227






